| 建物名 | 浜松市中央区半田町 | 物件種別 | 戸建 | ||
|---|---|---|---|---|---|
| 物件所在地 | 静岡県浜松市中央区半田町419-4 | 交通機関 | 遠州鉄道 積志駅 徒歩17分 【バス】半田川原 バス停徒歩3分 【バス】半田川原 バス停徒歩3分 |
||
| 通学区(小学校) | 浜松市立積志小学校 1282m | 通学区(中学校) | 浜松市立積志中学校 1180m | ||
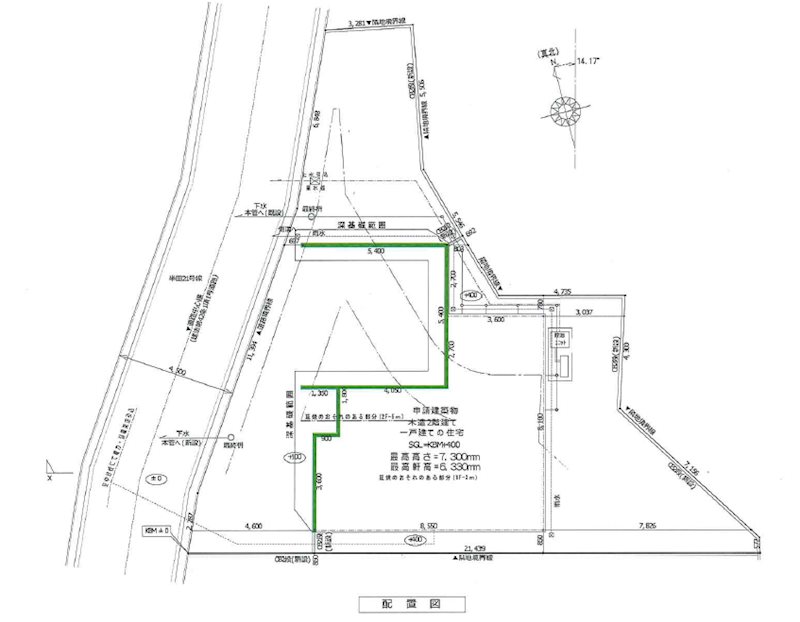
| 土地面積 | 212.87㎡(公簿) | 面積(専有・建物) | 135.71㎡ | 建ぺい率 | 60% |
| 土地面積(坪) | 約64.39坪 | 面積(坪) | 約41.05坪 | 容積率 | 200% |
| 間取り | 4LDK | 間取り詳細 | |||
| 建物構造 | 木造 | 建物構造備考 | |||
| 特徴等 | |||||
| 都市計画 | 市街化調整区域 | 用途地域 | 無指定 | 地目 | 宅地 |
| 窓の向き | 南 | 建物階数 | 地上2階建 | 土地現況 | |
| 法令上の制限 | |||||
| 私道負担面積 | 無し | セットバック | 接道状況 | 西4.5m公道 間口20.52m | |
| 駐車場 | 駐輪場 | ||||
| バイク置き場 | |||||
| 地下・駐車場面積 | 総戸数 | 総区画数 | |||
| 現況 | 未完成 | 取引態様 | 専任媒介 | 引渡時期 | 期日指定 2026年3月下旬 |
| 借地権 | 敷地の権利形態 | 所有権 | 地勢 | 平坦 | |
| 近隣施設 | コンビ二:ローソン 浜松医大前店 750m スーパー:遠鉄ストアフードワンきらりタウン店 851m ホームセンター:エディオン浜松半田店 930m ドラッグストア:杏林堂薬局 浜松医大付属病院前店 797m ドラッグストア:スギドラッグ 浜松北店 1102m 図書館:浜松市立積志図書館 980m |
||||
| 部屋外設備 | |||||
| 入居条件 | 施設費用 | その他費用 | |||
| 建築確認番号 | 第2025確認建築静建住ま08173号 | 開発許可番号 | 国土法による許可 又は事前届出 | 不要 | |
| 自社管理番号 | S-59-0000001666 | 物件管理コード | 2117658408900000035121 | 免許番号 | 静岡県知事(16)第1059号 |
| 備考 | |||||
| 情報更新日 | 2025年12月1日 | 次回更新予定日 | 2025年12月31日 | ||
※ページ内に記載の距離はおおよその目安です。
※(税込)表示がある価格には法定の消費税を含んでいます。
※(公社)静岡県宅地建物取引業協会 東海不動産公正取引協議会加盟
※建築条件付土地の場合は、すべて土地売買契約締結後3ヶ月以内に当社と建築請負契約を結んでいただくことを停止条件として販売します。3ヶ月以内に請負契約が成立しなかった場合は、土地の売買契約は白紙で解除し、申込金・預かり金・その他お預かりした金銭はすみやかにご返却します。
※図面等の掲載情報は、現況と異なる場合がありますがその場合は現況を優先して販売いたします。
※当ホームページではできるだけ最新情報の掲載・更新に努めておりますが、万一ご売却済みの場合はご了承ください。
遠州鉄道株式会社 遠鉄の不動産 湖西店
053-574-2881



















価格3480万円
| 間取り: | 4LDK |
|---|---|
| 所在地: | 静岡県浜松市中央区半田町419-4 |
| 交通: | 遠州鉄道 積志駅 徒歩17分 【バス】半田川原 バス停徒歩3分 【バス】半田川原 バス停徒歩3分 |
| 築年月: | 2026年3月(完成予定) |
ガレージハウス(インナーガレージ)!
バリアフリーで安心!
家事動線が効率的!
駐車場4台可能!
| 建物名 | 浜松市中央区半田町 |
|---|---|
| 物件種別 | 戸建 |
| 物件所在地 | 静岡県浜松市中央区半田町419-4 |
| 交通機関 | 遠州鉄道 積志駅 徒歩17分 【バス】半田川原 バス停徒歩3分 【バス】半田川原 バス停徒歩3分 |
| 通学区(小学校) | 浜松市立積志小学校 1282m |
| 通学区(中学校) | 浜松市立積志中学校 1180m |
| 土地面積 | 212.87㎡(公簿) |
| 土地面積(坪) | 約64.39坪 |
| 面積(専有・建物) | 135.71㎡ |
| 面積(坪) | 約41.05坪 |
| 建ぺい率 | 60% |
| 容積率 | 200% |
| 間取り | 4LDK |
| 間取り詳細 | |
| 建物構造 | 木造 |
| 建物構造備考 | |
| 特徴等 | |
| 都市計画 | 市街化調整区域 |
| 用途地域 | 無指定 |
| 地目 | 宅地 |
| 窓の向き | 南 |
| 建物階数 | 地上2階建 |
| 土地現況 | |
| 法令上の制限 | |
| 私道負担面積 | 無し |
| セットバック | |
| 接道状況 | 西4.5m公道 間口20.52m |
| 駐車場 | |
| 駐輪場 | |
| バイク置き場 | |
| 地下・駐車場面積 | |
| 総戸数 | |
| 総区画数 |
遠州鉄道株式会社 遠鉄の不動産 湖西店
053-574-2881
| 現況 | 未完成 |
|---|---|
| 取引態様 | 専任媒介 |
| 引渡時期 | 期日指定 2026年3月下旬 |
| 借地権 | |
| 敷地の権利形態 | 所有権 |
| 地勢 | 平坦 |
| 近隣施設 | コンビ二:ローソン 浜松医大前店 750m スーパー:遠鉄ストアフードワンきらりタウン店 851m ホームセンター:エディオン浜松半田店 930m ドラッグストア:杏林堂薬局 浜松医大付属病院前店 797m ドラッグストア:スギドラッグ 浜松北店 1102m 図書館:浜松市立積志図書館 980m |
| 部屋外設備 | |
| 入居条件 | |
| 施設費用 | |
| その他費用 | |
| 建築確認番号 | 第2025確認建築静建住ま08173号 |
| 開発許可番号 | |
| 国土法による許可 又は事前届出 | 不要 |
| 自社管理番号 | S-59-0000001666 |
| 物件管理コード | 2117658408900000035121 |
| 免許番号 | 静岡県知事(16)第1059号 |
| 備考 | |
| 情報更新日 | 2025年12月1日 |
| 次回更新予定日 | 2025年12月31日 |
※ページ内に記載の距離はおおよその目安です。
※(税込)表示がある価格には法定の消費税を含んでいます。
※(公社)静岡県宅地建物取引業協会 東海不動産公正取引協議会加盟
※建築条件付土地の場合は、すべて土地売買契約締結後3ヶ月以内に当社と建築請負契約を結んでいただくことを停止条件として販売します。3ヶ月以内に請負契約が成立しなかった場合は、土地の売買契約は白紙で解除し、申込金・預かり金・その他お預かりした金銭はすみやかにご返却します。
※図面等の掲載情報は、現況と異なる場合がありますがその場合は現況を優先して販売いたします。
※当ホームページではできるだけ最新情報の掲載・更新に努めておりますが、万一ご売却済みの場合はご了承ください。
遠州鉄道株式会社 遠鉄の不動産 湖西店
053-574-2881