所在地:
静岡県菊川市下平川1944-1 [土地]
交通:
【バス】平田 バス停徒歩5分
下平川エリアの事業用・住宅用地・約95坪!
商業用建物なども建築可能です。
| 物件所在地 | 静岡県菊川市下平川1944-1 | 物件種別 | 土地 | ||
|---|---|---|---|---|---|
| 交通機関 | 【バス】平田 バス停徒歩5分 | 総区画数 | 1区画 | ||
| 通学区(小学校) | 通学区(中学校) | ||||
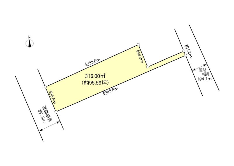
| 土地面積 | 316㎡(公簿) | 建ぺい率 | 80% | 都市計画 | 非線引き区域 |
| 土地面積(坪) | 約95.59坪 | 容積率 | 200% | 用途地域 | 近隣商業地域 |
| 土地現況 | 更地 | 建築条件の有無 | 無し | 地目 | 宅地 |
| 特徴等 | 最適用途:事業用地 |
||||
| 法令上の制限 | 公有地拡大推進法 | ||||
| 私道負担面積 | 無し | セットバック | 接道状況 | 西7.8m公道 / 東4.1m公道 | |
| 現況 | 取引態様 | 専任媒介 | 引渡時期 | 相談 | |
| 借地権 | 敷地の権利形態 | 所有権 | 地勢 | 平坦 | |
| 近隣施設 | コンビ二:ローソン 菊川下平川店 433m ホームセンター:コメリハード&グリーン小笠店 912m 郵便局:小笠郵便局 584m 図書館:菊川市立小笠図書館 701m 銀行:島田掛川信用金庫小笠支店 525m スーパー:Seria(セリア) 小笠店生活良品館 1232m |
||||
| 入居条件 | 施設費用 | その他費用 | |||
| 建築確認番号 | 開発許可番号 | 国土法による許可 又は事前届出 | 不要 | ||
| 自社管理番号 | S-66-0000002216 | 物件管理コード | 2117658408900000033769 | 免許番号 | 静岡県知事(16)第1059号 |
| 備考 | |||||
| 情報更新日 | 2026年1月30日 | 次回更新予定日 | 2026年3月1日 | ||
※ページ内に記載の距離はおおよその目安です。
※(税込)表示がある価格には法定の消費税を含んでいます。
※(公社)静岡県宅地建物取引業協会 東海不動産公正取引協議会加盟
※建築条件付土地の場合は、すべて土地売買契約締結後3ヶ月以内に当社と建築請負契約を結んでいただくことを停止条件として販売します。3ヶ月以内に請負契約が成立しなかった場合は、土地の売買契約は白紙で解除し、申込金・預かり金・その他お預かりした金銭はすみやかにご返却します。
※図面等の掲載情報は、現況と異なる場合がありますがその場合は現況を優先して販売いたします。
※当ホームページではできるだけ最新情報の掲載・更新に努めておりますが、万一ご売却済みの場合はご了承ください。
遠州鉄道株式会社 遠鉄の不動産 掛川店・掛川住宅プラザ
0537-23-5103
























価格477.95万円
| 土地面積: | 316㎡(公簿)(約95.59坪) |
|---|---|
| 所在地: | 静岡県菊川市下平川1944-1 |
| 交通: | 【バス】平田 バス停徒歩5分 |
下平川エリアの事業用・住宅用地・約95坪!
商業用建物なども建築可能です。
| 物件所在地 | 静岡県菊川市下平川1944-1 |
|---|---|
| 物件種別 | 土地 |
| 交通機関 | 【バス】平田 バス停徒歩5分 |
| 総区画数 | 1区画 |
| 通学区(小学校) | |
| 通学区(中学校) | |
| 土地面積 | 316㎡(公簿) |
| 土地面積(坪) | 約95.59坪 |
| 建ぺい率 | 80% |
| 容積率 | 200% |
| 特徴等 | 最適用途:事業用地 |
| 都市計画 | 非線引き区域 |
| 用途地域 | 近隣商業地域 |
| 地目 | 宅地 |
| 土地現況 | 更地 |
| 建築条件の有無 | 無し |
| 法令上の制限 | 公有地拡大推進法 |
遠州鉄道株式会社 遠鉄の不動産 掛川店・掛川住宅プラザ
0537-23-5103
| 私道負担面積 | 無し |
|---|---|
| セットバック | |
| 接道状況 | 西7.8m公道 / 東4.1m公道 |
| 現況 | |
| 取引態様 | 専任媒介 |
| 引渡時期 | 相談 |
| 借地権 | |
| 敷地の権利形態 | 所有権 |
| 地勢 | 平坦 |
| 近隣施設 | コンビ二:ローソン 菊川下平川店 433m ホームセンター:コメリハード&グリーン小笠店 912m 郵便局:小笠郵便局 584m 図書館:菊川市立小笠図書館 701m 銀行:島田掛川信用金庫小笠支店 525m スーパー:Seria(セリア) 小笠店生活良品館 1232m |
| 入居条件 | |
| 施設費用 | |
| その他費用 | |
| 建築確認番号 | |
| 開発許可番号 | |
| 国土法による許可 又は事前届出 | 不要 |
| 自社管理番号 | S-66-0000002216 |
| 物件管理コード | 2117658408900000033769 |
| 免許番号 | 静岡県知事(16)第1059号 |
| 備考 | |
| 情報更新日 | 2026年1月30日 |
| 次回更新予定日 | 2026年3月1日 |
※ページ内に記載の距離はおおよその目安です。
※(税込)表示がある価格には法定の消費税を含んでいます。
※(公社)静岡県宅地建物取引業協会 東海不動産公正取引協議会加盟
※建築条件付土地の場合は、すべて土地売買契約締結後3ヶ月以内に当社と建築請負契約を結んでいただくことを停止条件として販売します。3ヶ月以内に請負契約が成立しなかった場合は、土地の売買契約は白紙で解除し、申込金・預かり金・その他お預かりした金銭はすみやかにご返却します。
※図面等の掲載情報は、現況と異なる場合がありますがその場合は現況を優先して販売いたします。
※当ホームページではできるだけ最新情報の掲載・更新に努めておりますが、万一ご売却済みの場合はご了承ください。
遠州鉄道株式会社 遠鉄の不動産 掛川店・掛川住宅プラザ
0537-23-5103