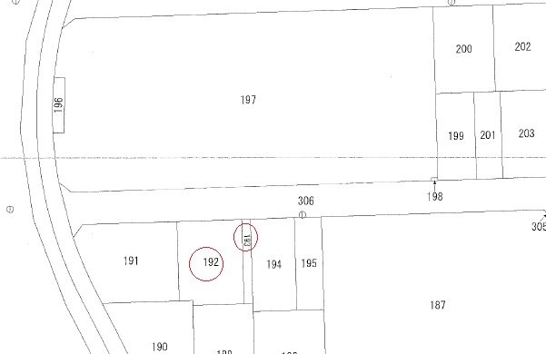
| 物件所在地 | 静岡県湖西市駅南3丁目192、193 | 物件種別 | 土地 | ||
|---|---|---|---|---|---|
| 交通機関 | 東海道本線(東海) 新所原駅 徒歩5分 天竜浜名湖鉄道 新所原駅 徒歩5分 |
総区画数 | |||
| 通学区(小学校) | 通学区(中学校) | ||||
| 土地面積 | 206.2㎡(公簿) | 建ぺい率 | 60% | 都市計画 | 市街化区域 |
| 土地面積(坪) | 約62.37坪 | 容積率 | 200% | 用途地域 | 第一種住居地域 |
| 土地現況 | 更地 | 建築条件の有無 | 地目 | 畑 | |
| 特徴等 | 最適用途:住宅用地 |
||||
| 法令上の制限 | |||||
| 私道負担面積 | 無し | セットバック | 接道状況 | 北6m公道 間口13m | |
| 現況 | 取引態様 | 一般媒介 | 引渡時期 | 即時 | |
| 借地権 | 敷地の権利形態 | 所有権 | 地勢 | 平坦 | |
| 近隣施設 | ドラッグストア:杏林堂ドラッグストア 新所原駅南店 338m ホームセンター:コメリハード&グリーン湖西店 488m コンビ二:ファミリーマート 日東電工豊橋事業所/S店 486m コンビ二:セブンイレブン 湖西駅南1丁目店 854m スーパー:パレマルシェ 新所原店 1146m 郵便局:新所原郵便局 922m 警察署・交番:湖西警察署新所原駅前交番 909m 銀行:浜松いわた信用金庫新所原支店 686m レストラン:駅のうなぎ屋やまよし 936m レストラン:インド・ネパールカレーミテリ 新所原店 466m |
||||
| 入居条件 | 施設費用 | その他費用 | |||
| 建築確認番号 | 開発許可番号 | 国土法による許可 又は事前届出 | 不要 | ||
| 自社管理番号 | S-59-0000001571 | 物件管理コード | 2117658408900000029512 | 免許番号 | 静岡県知事(16)第1059号 |
| 備考 | 湖西市駅南3丁目区画整理内の62坪! 建築条件なし!北側道路向かいは公園です! |
||||
| 情報更新日 | 2025年12月1日 | 次回更新予定日 | 2025年12月31日 | ||
※ページ内に記載の距離はおおよその目安です。
※(税込)表示がある価格には法定の消費税を含んでいます。
※(公社)静岡県宅地建物取引業協会 東海不動産公正取引協議会加盟
※建築条件付土地の場合は、すべて土地売買契約締結後3ヶ月以内に当社と建築請負契約を結んでいただくことを停止条件として販売します。3ヶ月以内に請負契約が成立しなかった場合は、土地の売買契約は白紙で解除し、申込金・預かり金・その他お預かりした金銭はすみやかにご返却します。
※図面等の掲載情報は、現況と異なる場合がありますがその場合は現況を優先して販売いたします。
※当ホームページではできるだけ最新情報の掲載・更新に努めておりますが、万一ご売却済みの場合はご了承ください。
遠州鉄道株式会社 遠鉄の不動産 湖西店
053-574-2881




















価格2130万円
| 土地面積: | 206.2㎡(公簿)(約62.37坪) |
|---|---|
| 所在地: | 静岡県湖西市駅南3丁目192、193 |
| 交通: | 東海道本線(東海) 新所原駅 徒歩5分 天竜浜名湖鉄道 新所原駅 徒歩5分 |
湖西市駅南3丁目区画整理内の62坪!
建築条件なし!北側道路向かいは公園です!
| 物件所在地 | 静岡県湖西市駅南3丁目192、193 |
|---|---|
| 物件種別 | 土地 |
| 交通機関 | 東海道本線(東海) 新所原駅 徒歩5分 天竜浜名湖鉄道 新所原駅 徒歩5分 |
| 総区画数 | |
| 通学区(小学校) | |
| 通学区(中学校) | |
| 土地面積 | 206.2㎡(公簿) |
| 土地面積(坪) | 約62.37坪 |
| 建ぺい率 | 60% |
| 容積率 | 200% |
| 特徴等 | 最適用途:住宅用地 |
| 都市計画 | 市街化区域 |
| 用途地域 | 第一種住居地域 |
| 地目 | 畑 |
| 土地現況 | 更地 |
| 建築条件の有無 | |
| 法令上の制限 |
遠州鉄道株式会社 遠鉄の不動産 湖西店
053-574-2881
| 私道負担面積 | 無し |
|---|---|
| セットバック | |
| 接道状況 | 北6m公道 間口13m |
| 現況 | |
| 取引態様 | 一般媒介 |
| 引渡時期 | 即時 |
| 借地権 | |
| 敷地の権利形態 | 所有権 |
| 地勢 | 平坦 |
| 近隣施設 | ドラッグストア:杏林堂ドラッグストア 新所原駅南店 338m ホームセンター:コメリハード&グリーン湖西店 488m コンビ二:ファミリーマート 日東電工豊橋事業所/S店 486m コンビ二:セブンイレブン 湖西駅南1丁目店 854m スーパー:パレマルシェ 新所原店 1146m 郵便局:新所原郵便局 922m 警察署・交番:湖西警察署新所原駅前交番 909m 銀行:浜松いわた信用金庫新所原支店 686m レストラン:駅のうなぎ屋やまよし 936m レストラン:インド・ネパールカレーミテリ 新所原店 466m |
| 入居条件 | |
| 施設費用 | |
| その他費用 | |
| 建築確認番号 | |
| 開発許可番号 | |
| 国土法による許可 又は事前届出 | 不要 |
| 自社管理番号 | S-59-0000001571 |
| 物件管理コード | 2117658408900000029512 |
| 免許番号 | 静岡県知事(16)第1059号 |
| 備考 | 湖西市駅南3丁目区画整理内の62坪! 建築条件なし!北側道路向かいは公園です! |
| 情報更新日 | 2025年12月1日 |
| 次回更新予定日 | 2025年12月31日 |
※ページ内に記載の距離はおおよその目安です。
※(税込)表示がある価格には法定の消費税を含んでいます。
※(公社)静岡県宅地建物取引業協会 東海不動産公正取引協議会加盟
※建築条件付土地の場合は、すべて土地売買契約締結後3ヶ月以内に当社と建築請負契約を結んでいただくことを停止条件として販売します。3ヶ月以内に請負契約が成立しなかった場合は、土地の売買契約は白紙で解除し、申込金・預かり金・その他お預かりした金銭はすみやかにご返却します。
※図面等の掲載情報は、現況と異なる場合がありますがその場合は現況を優先して販売いたします。
※当ホームページではできるだけ最新情報の掲載・更新に努めておりますが、万一ご売却済みの場合はご了承ください。
遠州鉄道株式会社 遠鉄の不動産 湖西店
053-574-2881